Cruising the Northern Abaco Cays

In early May we departed Hope Town and had a nice 3-hour sail down to Treasure Cay. We spent three days at Treasure Cay as the weather was still not cooperating. It was blowing 15 to 25 Knots out of the Northeast making passage around Whale Cay impossible. The weather has been unusually windy this spring. However, this stop did allow us to provision and top off our fuel and water tanks before heading out.

Finally, we got 5 straight days of relatively calm weather. We motored around Whale Cay and our first stop was Manjack Cay, about five miles north of Green Turtle Cay. This is a beautiful Cay to anchor in with protection from all North and east wind. This Cay is a large turtle paradise. When you dinghy in the mangroves between Manjack and Crab Cay, you see large turtles (large meaning anywhere from one foot to about 2.5 feet wide).

      Satisfaction anchored off Moraine Cay

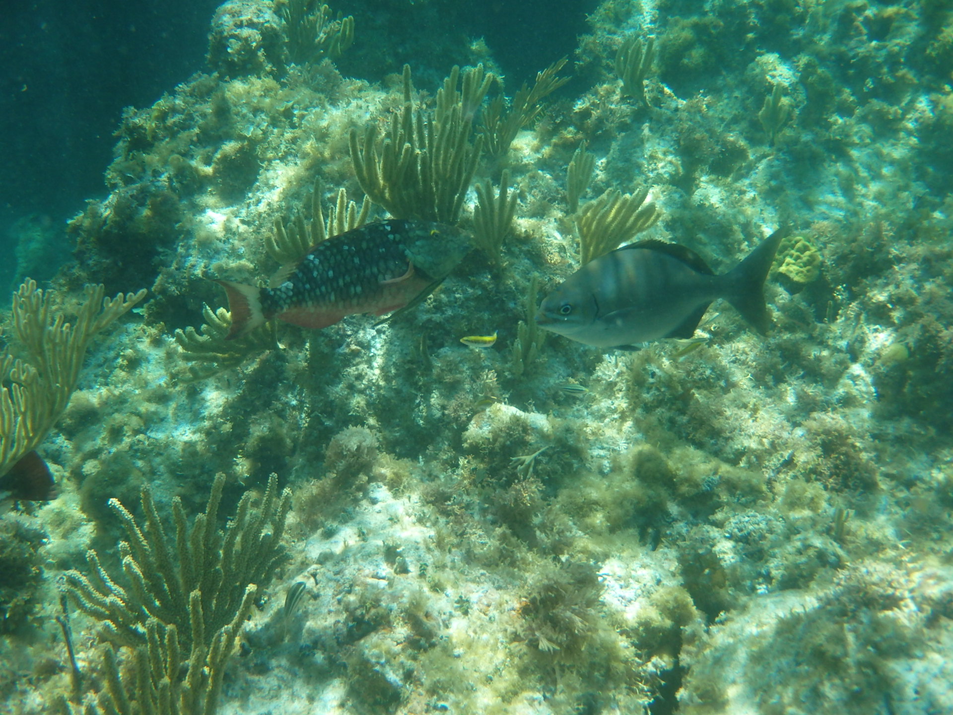
After a couple nights, we sailed up to Moraine Cay about 20 NM further north of Manjack Cay. Moraine Cay is a fishing and snorkeling paradise. We do not fish, but we love to snorkel. There are acres and acres of coral reefs that begin just 50 feet off the ocean side of the Cay, most of it in about 5 feet of water at high tide. Moraine is an uninhabited Cay as there is really no good protection from the wind. Consequently, boats can only anchor here in very calm weather. This means the coral reefs off Moraine Cay are undisturbed by human activity. This is the second time we have been there and we always see fish we never see anyplace else.

              Sunset over Moraine Cay

As the wind was predicted to start coming out of the west in a couple days, we headed back toward Green Turtle Cay. In the Abacos, other than the natural harbors of the inhabited cays, there are very few anchorages with good protection from wind out of the west. On our way back we stopped one night at Powell Cay which has fantastic beaches.

We are now back at Black Sound on Green Turtle Cay docked at the Leeward Yacht Club waiting for the westerly winds to pass so we can head out again.

Some photos of our recent cruise in the Northern Abaco.

 

               Some kind of Angel Fish

 

                Interesting Coral Reef

 

                              Interesting fish

 

                   More beautiful coral reef

 

                                   More fish

 

 

 

Did you enjoy this post? Why not leave a comment below and continue the conversation, or subscribe to my feed and get articles like this delivered automatically to your feed reader.

Comments

No comments yet.

Sorry, the comment form is closed at this time.